Skip To Content

697 Bradley Cir

Elizabeth, CO 80107
  • $698,990
  • STATUS: Active
  • ON SITE: 29 Days
  • MLS #: 7776199
Open House
UPDATED: 40 min ago
$698,990
  • 3
    BEDS
  • 0.2
    ACRES
  • 2
    BATHS
  • 1
    1/2 BATHS
  • 2,061
    SQFT
  • $339
    $/SQFT
Type:
Single-Family Home
Built:
2026
County:
Area:

School Information

Elementary School:
Middle School:
High School:
School District:

Description

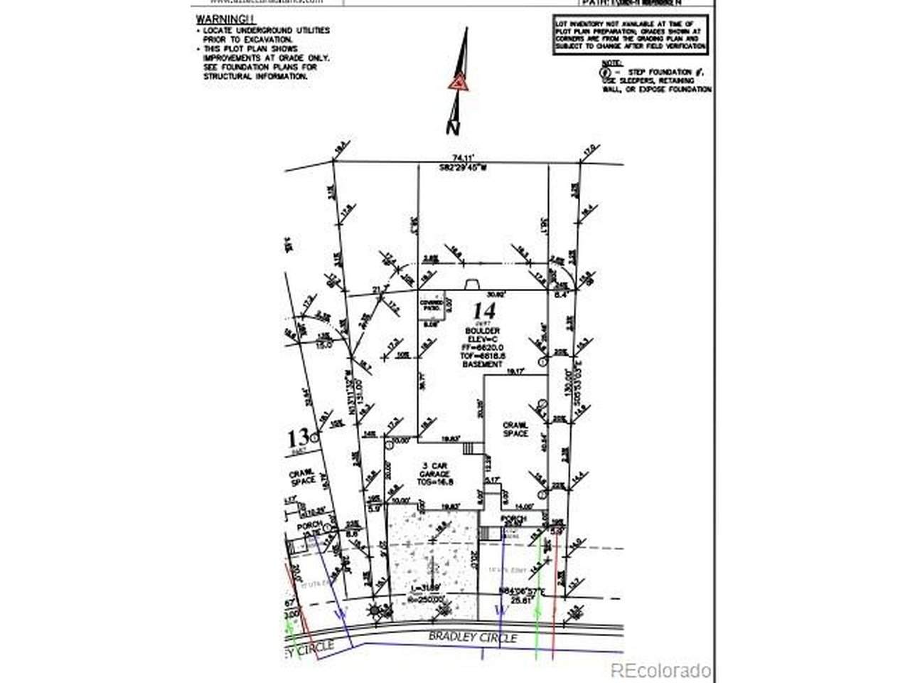
What's Special: Premium Location | Dedicated Study | Fireplace | Large Kitchen Island | Backs to Open Space. New Construction - Ready Now! Built by America's Most Trusted Homebuilder. Welcome to the Boulder at 697 Bradley Circle in the Town Collection at Independence! This spacious new single-story home is designed with comfort, livability, and thoughtful details throughout. As you walk inside, the foyer leads past two secondary bedrooms, a full bathroom, and a dedicated study on one side, while the laundry room, powder room, and the three-car garage entry sit on the other. At the heart of the home, the kitchen shines with a walk-in pantry and center island overlooking the dining area and great room, where a cozy fireplace creates a welcoming atmosphere. From here, step out onto the covered deck to enjoy the outdoors. Tucked away for privacy, the expansive primary suite offers a relaxing retreat with a spa-like en-suite bath and walk-in closet. The included unfinished basement provides extra storage or room for a future home gym. Experience the charm of Independence, where picturesque rolling hills, protected open spaces, and brand-new community amenities come together to create an exceptional lifestyle. Conveniently located just 10 miles from Downtown Parker and Highway 83, everything you need is within easy reach. Additional Highlights Include: Study in place of flex, glass doors at study, fireplace at great room, enlarged shower at primary bath, door at primary bed to bath, three-car garage, covered deck, and 8' interior doors at main level. MLS#7776199

Monthly Payment Calculator



IRES logo

© 2026 Information and Real Estate Services, LLC. IDX information is provided exclusively for consumers' personal, non-commercial use and may not be used for any purpose other than to identify prospective properties consumers may be interested in purchasing. Information is deemed reliable but is not guaranteed accurate by the MLS or Tandem Real Estate. Data last updated: 2026-03-12T21:44:12.163.

Information source: Information and Real Estate Services, LLC. Provided for limited non-commercial use only under IRES Rules © Copyright IRES.
www.tandemrealestateco.com/homes/172921136
Print Image

697 Bradley Cir Elizabeth, CO 80107

  • Price: $698,990
  • Status: Active
  • On Site: 29 Days
  • Updated: 40 min ago
  • MLS #: 7776199
3
Beds
2
Baths
1
½ Baths
0.2
Acres
2,061
SQFT
$339
$/SQFT
2026
Built
Neighborhood:
The Town Collection At Independence
County:
Elbert
Area:
Metro Denver
Elementary School:
Singing Hills
Middle School:
Elizabeth
High School:
Elizabeth
School District:
Elizabeth C-1
Property Description
What's Special: Premium Location | Dedicated Study | Fireplace | Large Kitchen Island | Backs to Open Space. New Construction - Ready Now! Built by America's Most Trusted Homebuilder. Welcome to the Boulder at 697 Bradley Circle in the Town Collection at Independence! This spacious new single-story home is designed with comfort, livability, and thoughtful details throughout. As you walk inside, the foyer leads past two secondary bedrooms, a full bathroom, and a dedicated study on one side, while the laundry room, powder room, and the three-car garage entry sit on the other. At the heart of the home, the kitchen shines with a walk-in pantry and center island overlooking the dining area and great room, where a cozy fireplace creates a welcoming atmosphere. From here, step out onto the covered deck to enjoy the outdoors. Tucked away for privacy, the expansive primary suite offers a relaxing retreat with a spa-like en-suite bath and walk-in closet. The included unfinished basement provides extra storage or room for a future home gym. Experience the charm of Independence, where picturesque rolling hills, protected open spaces, and brand-new community amenities come together to create an exceptional lifestyle. Conveniently located just 10 miles from Downtown Parker and Highway 83, everything you need is within easy reach. Additional Highlights Include: Study in place of flex, glass doors at study, fireplace at great room, enlarged shower at primary bath, door at primary bed to bath, three-car garage, covered deck, and 8' interior doors at main level. MLS#7776199
Exterior Features

Architectural Style Chalet Construction Materials StoneOther Exterior Features Sprinkler System>8' Garage Door Garage Type Attached Parking Features Attached Patio And Porch Features Patio Roof Composition Waterfront YN No

Interior Features

Above Grade Finished Area 2061 Appliances DishwasherMicrowaveDisposalFire Alarm Basement PartialSlabSump Pump Bathrooms Total Integer 3 Baths Full Additional 0 Baths Full Basement 0 Baths Full Lower 0 Baths Full Main 2 Baths Full Upper 0 Baths Half Additional 0 Baths Half Basement 0 Baths Half Lower 0 Baths Half Main 1 Baths Half Upper 0 Baths Three Quarters Additional 0 Baths Three Quarters Basement 0 Baths Three Quarters Lower 0 Baths Three Quarters Main 0 Baths Three Quarters Upper 0 Below Grade Finished Area 1293 Cooling Central Air Fireplace Features GasGreat RoomOne Has Study Yes Heating Forced Air Interior Features Open FloorplanPantryKitchen Island Levels Two Living Area Source Plans

Property Features

Association YN No Crops None Exclusions N/A Has Metro Tax District Yes Has Water Rights No Listing Terms CashConventionalVA Lot Features House Faces SouthGutters MLSArea Minor Metro25/DEP New Construction Status NewCompleted New Construction YN Yes Property Sub Type Single Family Residence Sewer Public Sewer Sewer Supplier Public Sewer Special Listing Conditions Builder Tax Annual Amount 7968 Tax Year 2025 Utilities Natural Gas AvailableElectricity AvailableCable Available Water Source City Zoning RES

Listing information © 2026 Information and Real Estate Services
Listing provided courtesy of Tom Ullrich of RE/MAX Professionals: RPALESE@CLASSICNHS.COM,303-799-9898.



IRES logo

© 2026 Information and Real Estate Services, LLC. IDX information is provided exclusively for consumers' personal, non-commercial use and may not be used for any purpose other than to identify prospective properties consumers may be interested in purchasing. Information is deemed reliable but is not guaranteed accurate by the MLS or Tandem Real Estate. Data last updated: 2026-03-12T21:44:12.163.

Information source: Information and Real Estate Services, LLC. Provided for limited non-commercial use only under IRES Rules © Copyright IRES.
 
https://bt-photos.global.ssl.fastly.net/ires/orig_boomver_1_7776199-2.jpg https://bt-photos.global.ssl.fastly.net/ires/orig_boomver_1_7776199-2.jpg https://bt-photos.global.ssl.fastly.net/ires/orig_boomver_1_7776199-2.jpg
Logo
Tandem Real Estate
Fort Collins CO,